Eliza White England (1813-1888)
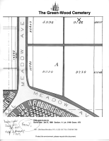
Eliza White England is buried in section A, lot 9146, grave 478. This was another old, poorly marked section of the cemetery like section 127 and I was concerned that I would likewise be unsuccessful in finding the grave. However, the headstone was granite, helping it survive the elements intact and legible.






