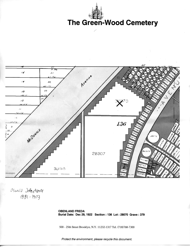
Freda Obenland (1846-1922)

Freda Obenland is listed in the database as being buried in section 136, lot 28070, grave 379. Given the comparatively recent burial, I was hoping that her stone might still be intact but I was not so fortunate. While there were only a few stones weathered to illegibility, there were also a number of stones that were sinking deep into the soft dirt and thick grass. It is possible that if she had an in-ground stone, it had sunk beneath the surface over the years.

10/31/2008 13:58:04
Freda Obenland kiosk map display
Lot 28070 map
10/15/2008 16:18:18
Public Lot 28070
10/15/2008 16:25:59
Weathered headstone, Lot 28070
10/15/2008 16:28:04
Public Lot 28070
10/31/2008 16:26:00
Public Lot 28070
10/31/2008 16:26:19
Public Lot 28070
10/31/2008 16:29:58
Eliza Overment (lot 28070) - close but no cigar
10/31/2008 16:38:10
Public Lot 28070
10/31/2008 16:41:07
Weathered headstone (lot 28307)
10/31/2008 16:41:33
Weathered headstone + Sarah Elliott (lot 28307)
10/31/2008 16:53:52
Lot 28070

Next: Samuel F.B. Morse (1794 - 1871)