John Kennion (1830-1886) / Angeline Pereira (1872-1915)

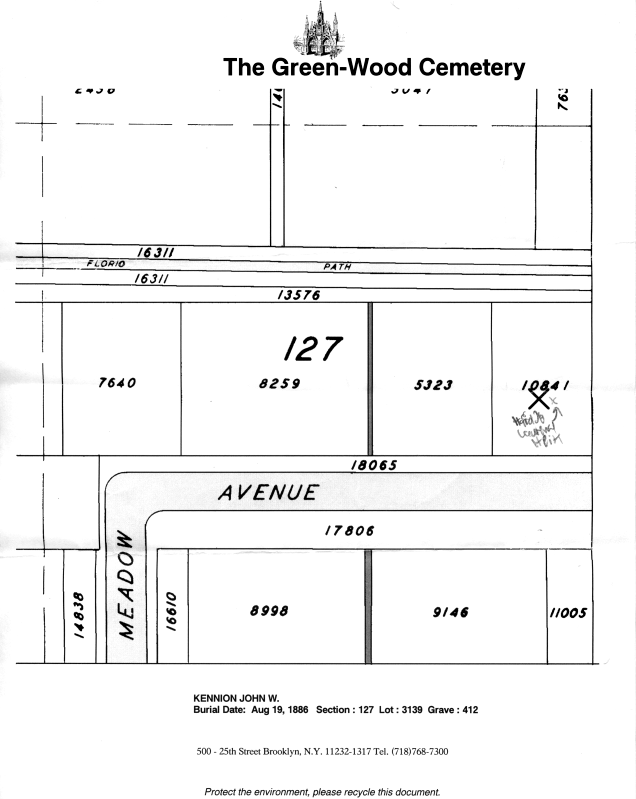
John Wilberforce Kennion was a wandering soul who was born in England and at various times was a surgeon, newspaperman and street preacher. Fittingly, perhaps, there is no clear marker for his gravesite, whatever stone there was long since lost to the elements. The cemetery database lists him as being buried in section 127, lot 3139, grave 412, although the lots here seem to have been renumbered as the map displays lot 10841. Few graves in this section have legible markers. An arm of Meadow Avenue once ran through this section, but it was being removed to add additional grave plots.

Angeline Lyons Pereira had a somewhat more conventional but brief life, being married at age 16 to Charles Smith and, a year later, to Charles Francis Pereira, ultimately bearing him nine children. Her database listing places her in section 127, lot 17931, but as with John Kennion, the map displays lot 10841. And also as with Mr. Kennion, a fairly thorough search of the lot was unsuccessful in finding any trace of her headstone.

I was not completely certain that I had found the correct lot, but a cemetery security guard volunteered to help with my search and confirmed this was the right place. Tommy was an interesting character - his grandfather had worked in the cemetery and he had just joined the staff a few months before my visit. Health problems derailed a promising baseball career and he found the relative peace of security work as both quieting and stimulating when he had the opportunity to assist visitors in locating graves.

Lot 10841 map
10/15/2008 15:40:04
Section 127
10/15/2008 15:41:12
Weathered marble headstone
10/15/2008 15:47:33
Section 127
10/15/2008 15:48:48
Section 127
10/15/2008 15:50:43
Weathered marble headstone
10/15/2008 15:54:33
Section 127
10/15/2008 15:54:55
Section 127
10/15/2008 15:59:34
Section 127
10/31/2008 14:31:47
Searching section 127
10/31/2008 14:31:55
Searching section 127
10/31/2008 14:34:30
Searching section 127
10/31/2008 14:34:44
Searching section 127
10/31/2008 14:42:22
Searching section 127
10/31/2008 14:35:12
Harold and Lawrence Heik (Lot 10841, Section 127) - confirms lot location
10/15/2008 15:39:16
Old Meadow Avenue sign
10/15/2008 15:39:24
Old Meadow Avenue being converted to grave sites
10/31/2008 14:34:36
Robert Banker / Robert C. Skead (Lot 10219)
10/31/2008 14:36:01
Willie S. Johnson / Hazel Johnson / Jane Johnson (Section 126?)
10/31/2008 14:37:08
William Langley Martin Jr. (Lot 10219)
10/31/2008 14:37:52
Our Eva
10/31/2008 14:39:55
Katie Pike
10/31/2008 14:42:34
Weathered marble headstone
10/31/2008 14:42:45
Weathered marble headstone
10/31/2008 14:46:04
John R. Jones / William H. Jones - not in database
10/15/2008 15:52:09
Hill of Graves (Section A?)
10/15/2008 15:52:18
Hill of Graves

Next: Mary G. Kennion (1881-1958)