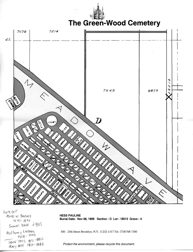
Pauline Huber Hess (1842-1909)

Pauline Huber Hess is listed in the database as being buried in Section D, Lot 18513, Grave 4. That is a narrow, old lot with numerous missing and unreadable stones. While I was unable to locate a stone for Pauline, I was able to locate stones for Henry and Georg Hess, so presumably this was a family plot.

Lot 18513 map
10/31/2008 15:37:02
Public lot 18513
10/31/2008 15:37:23
Public lot 18513
10/31/2008 15:43:18
Henry Hess (1871-1886)
10/31/2008 15:43:46
Sarah Dodds McKenzie
10/31/2008 15:44:01
Georg Hess (1831-1882)
10/31/2008 15:46:36
Hess family plot?
10/31/2008 15:44:34
Tree over Hess family plot
10/31/2008 15:47:09
Weathered headstones
10/31/2008 15:47:31
Public lot 18513
10/31/2008 15:48:01
Public lot 18513
10/31/2008 15:48:37
Public lot 18513
10/31/2008 15:49:18
Public lot 18513

Next: William Haveron (1851-1907)