Louise Haveron

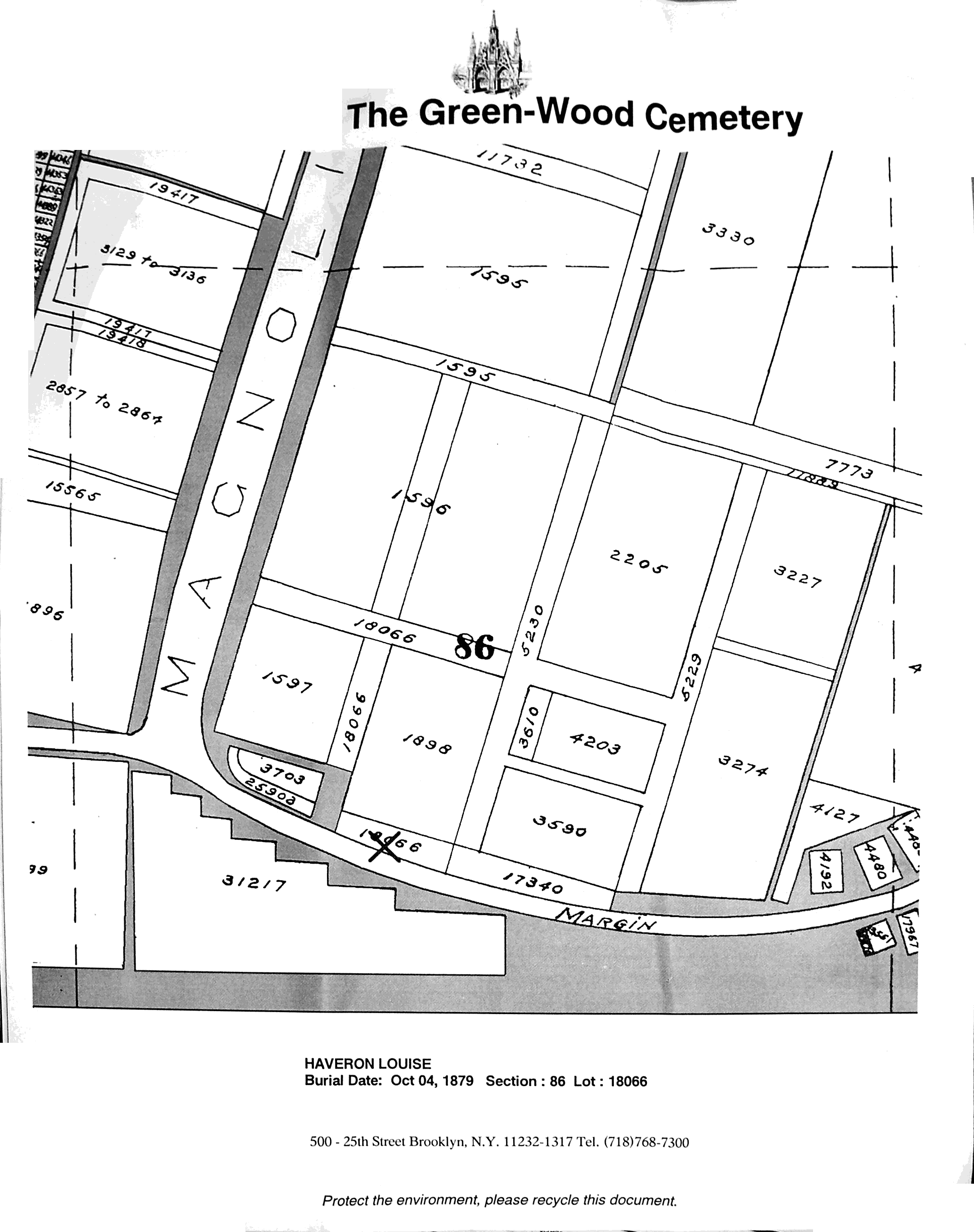
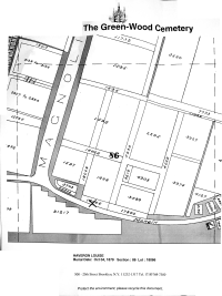
The cemetery database lists Louise Haveron (1857-1879) as being buried in section 86, lot 18066. One of her relatives said someone else had unsuccessfully looked for the grave and asked if I would give it a spin. The grave supposedly contains four persons, Louise, her parents John and Eliza, and a Mary E. McLaughlin. Although this is a fairly old section of the cemetery, thankfully, the lot was fairly small, saving me the hours of futile looking that are typical when a grave that old is in a large, indistinct lot. Lot 18066 is just to the west of lot 1898, which has a marker. A fairly recent grave for Frederic and Helen (1919-2004) Price is listed in the database indicating that this is definitely lot 18066 and that the Haverons do not have an extant grave marker of any kind. Surrounding graves for G.P Merkel (d. 1871 - lot 1597?), Daniel W. Teller (lot 17340?) and (unknown) Mackenzie are not in the database, indicating that the database seems to be missing a significant number of older graves.

12/18/2008 15:57:22
Lot 18066 viewed from the southwest
12/18/2008 21:07:28
Section 86 map from cemetery kiosk
12/18/2008 15:57:51
Lot 1898 marker (just to the east of lot 18066) with Price gravestone in slot 18066
12/18/2008 15:58:44
Lot 1898 - just to the east of lot 18066
12/18/2008 15:59:03
Lot 18066 viewed from the northwest
12/18/2008 16:01:25
Footstone in lot 18066?
12/18/2008 16:01:51
Toppled and weathered gravestones in lot 18066 or 1898
12/18/2008 16:06:09
Toppled and westhered gravestone in lot 18066 or 1898
12/18/2008 16:02:14
MacKinzie gravestone - not in the database
12/18/2008 16:04:34
Lot 18066 viewed from the southeast
12/18/2008 16:08:43
Lot 18066 - twilight

Next: Eliza White England (1813-1888)